Hrastova listna hržicaTaksonomija
Latinsko ime: Dryomyia circinnans Giraud, 1861
Angleško ime: gall midge
Klasifikacija: Ceciomyiidae, Diptera, Insecta, Polymeria, Animalia
Opis
Osnovni podatki
- Frekvenca: pogost
- Skupina organizmov: žuželke
- Tip bolezni: metličavosti in iznakaženja
- Vrsta prehranjevanja: primaren parazit
Biologija: 
Ima eno generacijo na leto.
Ličinka prezimuje v šiški, kjer se tudi zabubi.
Del rastline: 
- list/iglica: na spodnji strani
Gostitelji: 
Razvojna faza: 
Simptomi: 
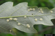
- šiška: dlakasta, s premerom 5-7 mm, debele 1-3 mm, se rade združujejo v skupino; sivkasta, gosto prekrita s sivimi dlačicami; na zgornji strani lista je krožna vdolbina s premerom 1-1,5 mm in ima izbočen rob
Slikovno gradivo
 
   |   |   |   | 
 
   | Dryomyia circinnans na Quercus spp.: napad, na hrastu (foto. Zubrik Milan) | Dryomyia circinnans na Quercus spp.: napad, na hrastu (foto. Zubrik Milan) | Dryomyia circinnans na Quercus spp.: poškodba, na hrastu (foto. Zubrik Milan) | 
        
         na vrh strani
na vrh strani